Skip to content
Chicago and Cook County Cemeteries
A Historical and Contemporary Resource
Menu
Home
Contact us
About the author
Cook County Cemetery at Dunning
Cemetery Posts
Previous Image
Next Image
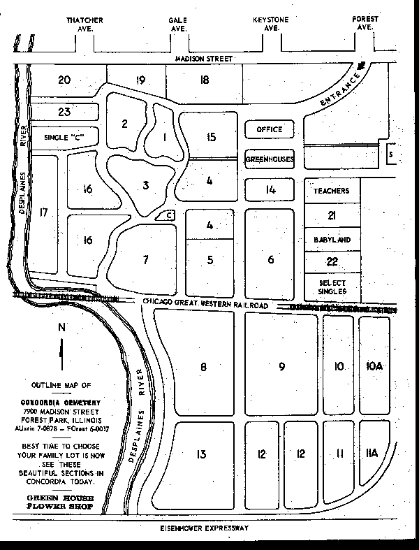
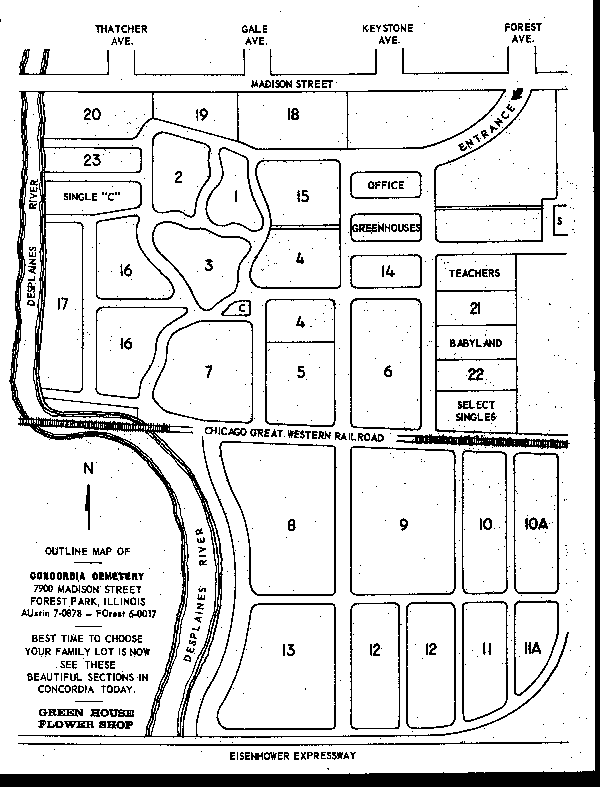
CONCORDIA
Leave a comment
Cancel reply
Δ
Post navigation
Published in
ROLLER COASTERS BETWEEN TWO CEMETERIES!
Comment
Subscribe
Subscribed
Chicago and Cook County Cemeteries
Join 283 other subscribers
Sign me up
Already have a WordPress.com account?
Log in now.
Chicago and Cook County Cemeteries
Subscribe
Subscribed
Sign up
Log in
Copy shortlink
Report this content
View post in Reader
Manage subscriptions
Collapse this bar