It is well known that George Washington Gale Ferris Jr., 1859-1896 a structural and civil engineer from Pittsburgh, Pennsylvania, built the colossal Chicago Wheel for Chicago’s World’s Columbian Exposition of 1893. What is not as well known is where the huge wheel reappeared after the fair had ended.
The fair wanted a landmark, something daring, and unique. They wanted something that would surpass the Eiffel tower which was built in 1889. Ferris’s enormous vertical structure served their purpose, which rotated around a massive center axle weighing 71 tons, and featured 36 gondolas capable of holding up to 60 people each—for a total capacity of 2,160 people. It carried some 38,000 people daily who each paid 50-cents for a 20-minute ride. Some 2.5 million people rode the wheel before it moved to a quiet northside Chicago neighborhood.
.
After the fair, the 264 foot wheel was moved and reassembled on Chicago’s north side to Clark and Wrightwood (about 2700 north).
Charles Tyson Yerkes 1837 –1905), owned many Chicago rail franchises including the North Chicago Electric Street Railway which operated streetcars on Clark Street.
He chose the location of the “end of the line” and carbarns (called the “Limits”) at Clark and Wrightwood exclusively to serve his proposed amusement park, Ferris Wheel Park.

He reasoned that an “end of the line” destination amusement park would be not only be profitable in its own right, but would nicely enhance ridership on his street railway especially on weekends when ridership was less han weekdays.
The wheel was intended to be the centerpiece of a full amusement park but nothing else was ever built. The neighborhood wheel, somewhat an orphan by itself, did not do as well as it did during the fair.
The massive wheel, out of its fair original setting, operated here from October 1895 until 1903 but failed to make an acceptable profit in this new and awkward location. Annoyed neighbors tried in vain to have it removed years earlier. It just did not fit well in a residential neighborhood.
A CORRIDOR OF CEMETERIES
Clark Street, a north-south street and one of the oldest roads in the city runs parallel to, and not far from the shore of Lake Michigan, extending north into Evanston Illinois where it becomes Chicago Avenue. Once named Green Bay Road, Clark street roughly follows part of the path of an old Indian trail called Green Bay Trail wending its way way to Green Bay, Wisconsin.
Over the years Clark Street became an important corridor for ten cemeteries, partly because it followed glacial ridges, less susceptible to being washed out by flooding. This high ground was a logical and ideal place for burials. These cemeteries were however, soon surrounded by a fast growing Chicago.
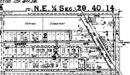
CLOSEST CEMETERY TO THE WHEEL
One such known burying ground had opened well before the ferris wheel came to the neighboorhood. This cemetery was just six blocks north, and existed between 1856 and at least until 1908 at the southwest corner of Clark (about 900 west) & Belmont (3200 North)

Had the wheel been built a few block north near Belmont as originally planned by Charles Yerkes, it might well have been near or right next to the old Mount Mayriv Cemetery . Four acres of land were laid out in 1856 , purchased for only $2400. 985 bodies were buried here. And between 1889 and 1908, 52 additional burials were made according to cemetery historian William Pattison. He calculated a total of 1708 burials through 1908 (four years after the wheel was dismantled). The cemetery, although unknown to many, is listed in the 1874/78 city directories.
In 1889 most but not all of the bodies were reinterred in the new Mt. Mayriv cemetery.. The Chicago Tribune of October 7, 1900 states: “The old Jewish cemetery, at Clark Street and Belmont Avenue, did not escape the spreading-out process of the growing city. The ground formerly occupied by the cemetery is now adorned by block upon block of stores and dwellings. This was, however, possibly the only instance where no bodies remained in the old ground, for every grave was identified and removed to a locality further north.”
Despite the assurances of the Chicago Tribune article, there was some evidence that some graves were overlooked and left behind.
THE END OF THE WHEEL AND CEMETERY AND THE DEATH OF CHARLES YERKES

The Wheel was dismantled in 1904 and shipped to St. Louis. Finally, in May of 1906, a demolition company used 200 pounds of dynamite to destroy the wheel.
After his Chicago ventures and many clashes with the city, Charles Yerkes left for New York and died on December 29, 1905.
The Southwest corner of Clark and Belmont where the cemetery once was became built up with this four story building.
The relocated Mt Mayriv is at 3600 North Narragansett, part of the Zion Gardens cemetery complex. 
There will be two more upcoming stories that involve both cemeteries and amusement parks. Stay tuned!
This is so great. What a story. I went to grade school at Alcott at Wrightwood just west of Clark and walked past that corner every day.
LikeLike